伊那市西箕輪 土地

410万円

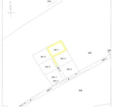
長野県伊那市西箕輪3987-1

飯田線「伊那北」駅徒歩72分

価格
410万円
坪単価
3.53万円(116.15坪)
所在地
長野県伊那市西箕輪3987-1
交通

飯田線伊那北」駅 徒歩72分

土地面積(坪数)
384.00㎡(116.15坪)
建ぺい率 / 容積率
60% / 200%

セールスポイント

西箕輪小学校、西箕輪中学校、西箕輪保育園が近く、子育て世代の皆様には嬉しい立地です。また、JA西箕輪支所、診療所、駐在所もまとまって立地しているのも安心感ありますね!
買い物もスーパーが近くにあり利便性高いです
なんといっても、眺望がいい!南アルプスきれいに見える土地です。ご検討ください

ポイント

平坦地 土地100坪以上 東南側道路面す

担当者のコメント

西田 実宏

伊那市エリアでの住まいなら、住み心地も快適な「伊那市西箕輪 土地」はいかがでしょうか。アップダウンの少ない平坦地です。経済面での圧迫が相場より低く、その分心に余裕が生まれる410万円の土地です。土地面積は384㎡(公簿)でイチオシ。伊那市エリアの不動産情報なら、地域を知り尽くしている当社にぜひお任せください。不動産の知識も豊富、そして地域の生活情報にも詳しいスタッフがお客様にアドバイスいたします。

基本情報

販売区画数
-
総区画数
-
土地面積(坪数)
384.00㎡(116.15坪)
坪単価
3.53万円
私道負担面積
割合
-
セットバック
建ぺい率 /
容積率
60% / 200%
高圧線下面積
-
傾斜地部分面積
-
路地状敷地
-
地目
雑種地
地勢
平坦
造成工事
完了予定
-
土地権利
所有権
建築条件
-
都市計画
非線引区域
用途地域
無指定
接道状況
一方(南東 公道 4.0m 間口 2.0m)
国土法届出要否
不要
最適用途
住宅用地
その他
法令上の制限
景観地区
取引態様
一般媒介
現況
更地
引渡条件
-
引渡時期
相談
開発許可番号
-
取引条件の
有効期限
2026年03月19日

設備条件

設備条件
  • 公営水道 / 公共下水
設備(その他)
    -

その他

物件番号
88111496
管理コード
-
情報更新日
2026年03月05日
次回更新予定日
2026年03月19日
取扱会社
  • 有限会社井口不動産
  • 長野県伊那市西箕輪5637-1 
  • TEL:090-6811-5448
  • 長野県知事 (7) 第4071号
  • (公社)全国宅地建物取引業保証協会
    (公社)長野県宅地建物取引業協会
備考
多くの方からご好評頂いている伊那市西箕輪 土地のご紹介です。工事自体も進めやすく、工事時間も短くなりやすい平坦地です。この土地の価格は410万円です。マイホームをお考えの方に、こちらの住宅用地はいかがでしょうか。不動産のプロである当社が、お客様のこだわりにお応えいたします。まずはお客様の住まいに求める条件や夢をお聞かせください。お問い合わせをお待ちしております。

周辺施設

  • 伊那市西箕輪支所の画像

    市役所・区役所

    伊那市西箕輪支所

    841m(11分)

  • JA上伊那西箕輪支所の画像

    銀行

    JA上伊那西箕輪支所

    940m(12分)

  • 伊那市立西箕輪小学校の画像

    小学校

    伊那市立西箕輪小学校

    1027m(13分)

  • JA上伊那 みはらしファーム とれたて市場の画像

    その他

    JA上伊那 みはらしファーム とれたて市場

    1222m(16分)

  • 信州伊那そば処 名人亭の画像

    そば・うどん

    信州伊那そば処 名人亭

    1321m(17分)

  • 長野県伊那技術専門校の画像

    専門学校

    長野県伊那技術専門校

    1367m(18分)

  • アルプス中央信用金庫信大前支店の画像

    銀行

    アルプス中央信用金庫信大前支店

    1668m(21分)

  • 信州大学農学部の画像

    大学

    信州大学農学部

    2061m(26分)

支払いシミュレーション

月々の支払額
購入希望物件価格
万円
頭金
万円
金利
%
返済額(ボーナス1回分)
万円
返済期間

※ボーナスは自動で年2回分で計算されます。

近隣の物件

  1. 伊那市山寺土地 古家付き

    伊那市山寺

    - (198.48㎡)

    330万円

  2. 上の原 土地

    伊那市上の原

    - (469.00㎡)

    480万円

  3. 伊那市狐島 土地

    伊那市狐島

    - (399.19㎡)

    500万円

  4. 伊那市山寺 分譲地➋

    伊那市山寺

    - (241.15㎡)

    9482,000

よく見られている物件

  1. 伊那市山寺土地 古家付き

    伊那市山寺

    - (198.48㎡)

    330万円

  2. 伊那市西箕輪 土地

    伊那市西箕輪

    - (384.00㎡)

    410万円

  3. 伊那市狐島 土地

    伊那市狐島

    - (399.19㎡)

    500万円

  4. 伊那市山寺 分譲地➋

    伊那市山寺

    - (241.15㎡)

    9482,000

伊那市西箕輪 土地

伊那市西箕輪 土地

410万円

-(384.00㎡)

お気軽にお問い合わせください

LINEからお問い合わせ 無料お問い合わせ

有限会社井口不動産

090-6811-5448

9:00~18:00

(休:毎週水曜日・年末年始・夏季休暇・GW)